PROPERTY IN BUSIA FOR AUCTION
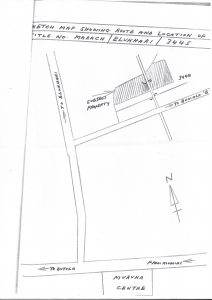
All that parcel of land known as TITLE NO. MARACH/ELUKHARI/3445. The plot measures 1.30Ha (one decimal three zero hectares) approximately, and registered in the name of KENNEDY ODWEYO. The title is freehold interest. The property is located in Lukhari area of Lukhari sub-location, Busia county, at about 3 kilometres to the east of Butula trading centre. It can be accessed from Butula through Butula-Mumias tarmac road, turn left at Muruka Centre toeards Elukhari for about 1.5km then right towards Bumala ‘B’ for about 200m. This is a fertile agricultural holding located in a sugar growing zone.



